Aktuelles

19. - 21. September 2025

FM National Avenches 2025

Mathias gewinnt mit Nesquik BW den Final Promotion 4/5jährige, danke Colette Weill.

Unsere Namira BW gewinnt die Elitejungstutenschau von über 60 Stuten.

Hengstfohlenchampionat Siegerfohlen Namir BW von Never BW.

Stutfohlenchampionat 2. Rang für Mirabel BW von Evian.

Melodie BW gewinnt das Zuchtstutenchampionat.

Ein tolles Wochenende in Avenches.

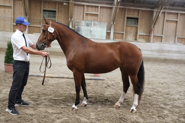
17. September 2025

Feldtest in Bern

Unser Ninjo BW absolviert den Test als Sieger.

Extérieur 8/7/8, Fahren 8.571, Reiten 8.0

23. August 2025

Kantonalbernische Jungstutenschau Rohrimoos

 

Namira BW wird Siegerin bei den 3jährigen Jungstuten

Farina BW gewinnt bei den 4jähringen Stuten

 

Miss Bern 2025 wird unsere Namira BW. 

 

22. August 2025

Fohlenschau Kleinhöchstetten

 

Nizza BW 8/8/8, Rappel 1.Rang

Mireabel BW 8/8/7, Rappel 2.Rang

Finesse BW 8/7/8, Rappel 3. Rang

Fantasy BW 8/7/7, Rappel 4. Rang

 

Namir BW 9/8/8, Rappel 1. Rang

Heyko BW 8/7/7, Rappel 2. Rang

Heaven BW 8/7/7, Rappel 3. Rang

Escudo BW 8/6/6 (5. Rang)

 

 Fotos Karin Rohrer, vielen Dank.

August 2025

 

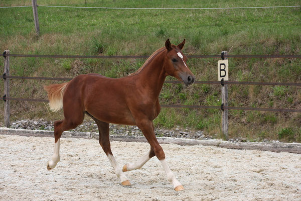
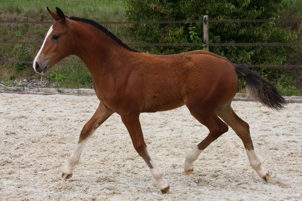
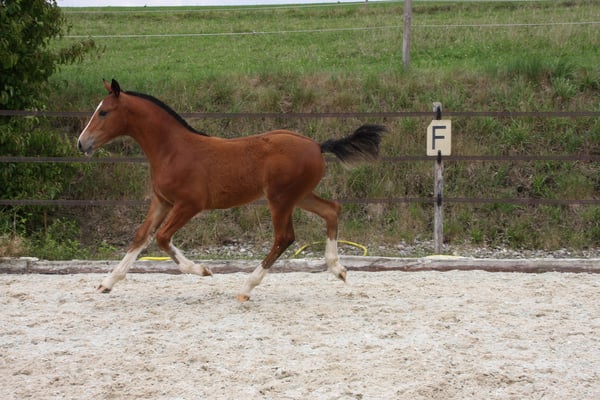
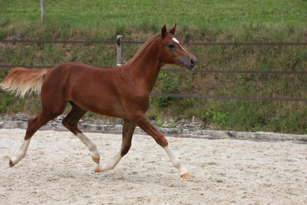
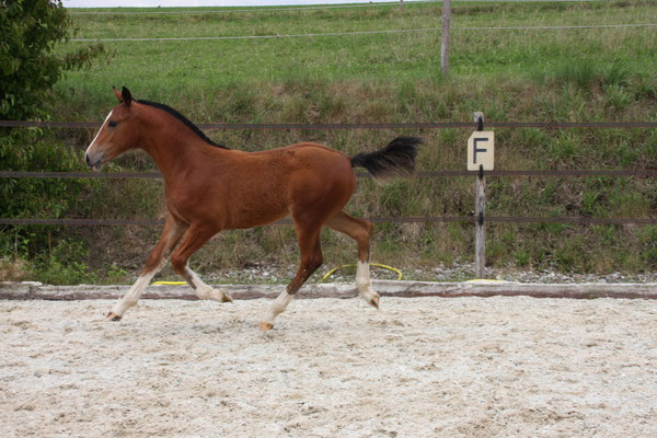
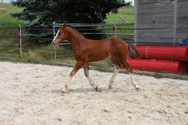
Unsere Fohlen sind gewachsen und haben sich gut entwickelt. 

Danke liebe Sibylle Caliezi für die schönen Fotos.

 

Namir BW, 2. März 2025, Never BW / Hamara

 

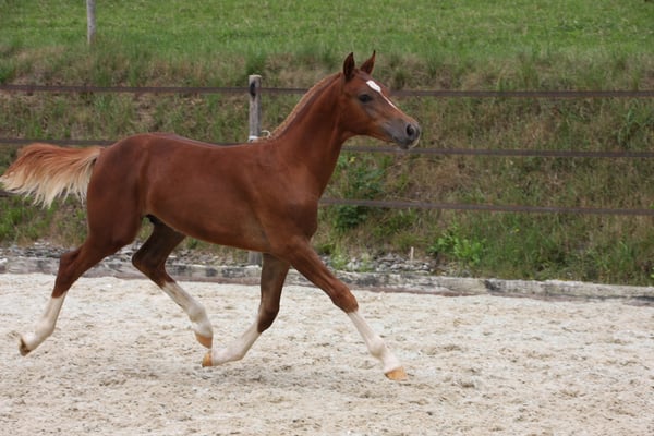
Heyko BW, 13. März 2025, Happyboy BW / Esperanza BW

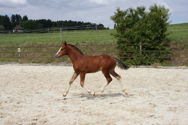
Fantasy BW, 14. März 2025, Harry Potter BW / Farina BW

Heaven BW, 19. März 2025, Harry Potter BW / Mimi BW

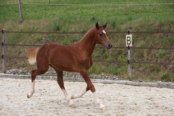
Nizza BW, 25. März 2025, Epson BW / Nikita BW

Mirabel BW, 28. März 2025, Evian / Melodie BW

Finesse BW, 21. April 2025, Hokaydo / Fara BW

 

Escudo BW, 21. April 2025, El Fuego / Fleur BW

31. Mai 2025

Zucht- und Sportwochenende PZG Falkenstein

Feldtest. Unsere Namira BW absolviert den Test erfolgreich.

Extérieur 9/7/9, Fahren 8.29, Reiten 7.6.

30. Mai 2025

Zucht- und Sportwochenende PZG Falkenstein

Fahren Promotion 4/5jährige Pferde: Michael am Start mit Nuri A.P. (9. Rang) und Mathias mit Nesquik BW (1.Rang). Bravo!

21. April 2025

Escudo BW

Mutter: Fleur BW

Vater: El Fuego

21. April 2025

Finesse BW

Mutter: Fara BW

Vater: Hokaydo

28. März 2025 

Mirabel BW

Mutter: Melodie BW

Vater: Evian

25. März 2025 

Nizza BW

Mutter: Nikita BW

Vater: Epson

19. März 2025 

Heaven BW

Mutter: Mimi BW

Vater: Harry Potter

14. März 2025 

Fantasy BW

Mutter: Farina BW

Vater: Harry Potter

13. März 2025 

Heyko BW

Mutter: Esperanza BW

Vater: Happyboy BW

2. März 2025 Unser erstes Fohlen ist da.

Namir BW

Mutter: Hamara

Vater: Never BW

Webauftritt seit

Mai 2013

---> laufende

Aktualisierungen